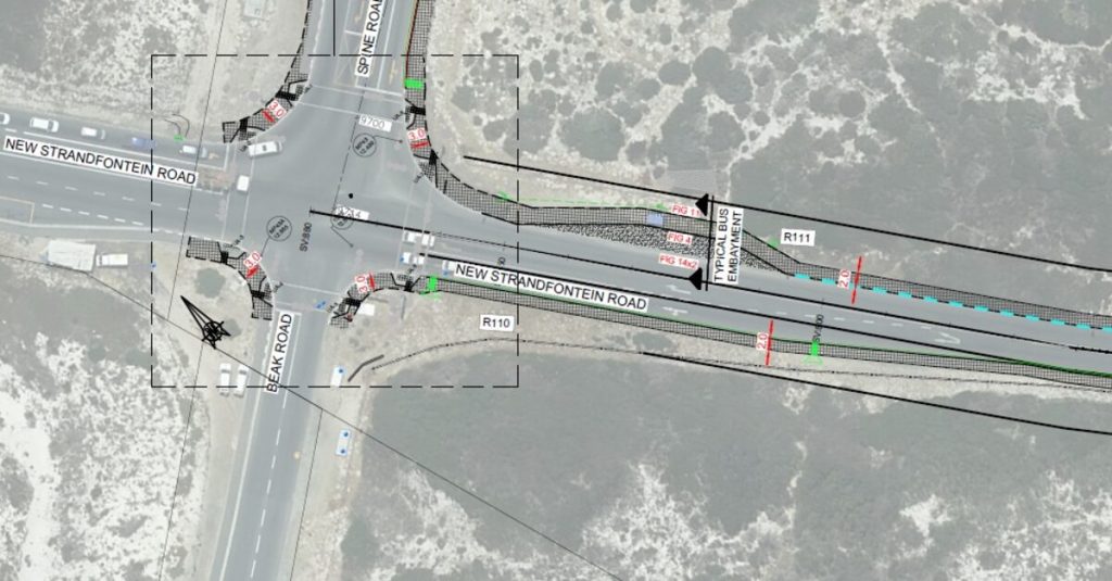
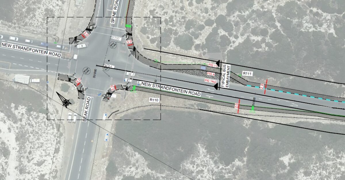
The proposed changes include the widening of the kerb at several intersections.
The proposed changes include the widening of the kerb at several intersections.

Residents have until tomorrow to submit feedback on proposed upgrades to non-motorised transport (NMT) infrastructure along key roads in Mitchell’s Plain and Strandfontein.

The City of Cape Town’s Urban Mobility Directorate is seeking public input on plans to upgrade pedestrian and cycling facilities along Spine and Strandfontein roads. The commenting period closes on 17 October.

The proposed infrastructure improvements will cover two main sections: Spine Road between Swartklip Road and Strandfontein Road, and Strandfontein Road between Spine Road and Strandfontein Pavilion.

The proposed changes include the widening of the kerb at several intersections.
The proposed changes include the widening of the kerb at several intersections.

The project scope includes upgrading and maintaining non-motorised transport facilities to ensure universal accessibility. Plans include installing dropped kerbs and tactile ground surface indicators specifically designed for visually impaired users.

Pedestrian crossings will be enhanced by shortening crossing distances and improving signage and road markings. The upgrades will also introduce protected cycle lanes where applicable.

Mayco member for urban mobility Rob Quintas explained the project’s focus on inclusivity and safety.

“The proposed upgrades to the NMT facilities along these busy roads are always aimed at ensuring that our facilities are universally accessible and to improve the road safety of all of our road users,” Quintas said.

Residents can view the proposed designs at www.capetown.gov.za/haveyoursay and submit comments through various channels. All submissions should have the reference number 110252605.

Electronic submissions can be made via email to RIM.PTI.Communication@capetown.gov.za or through the City’s online platform. Written submissions can be delivered to the Public Participation Unit at the Civic Centre on Hertzog Boulevard.

Local submission points include libraries and administrative buildings across the affected areas including the Lentegeur Administrative Building and Strandfontein, Rocklands, Westridge, Tafelsig and Town Centre libraries.

The City has made provisions for residents who may need assistance participating in the consultation process. Special help will be provided to people who cannot read or write, people with disabilities, and other disadvantaged groups to ensure their input is recorded and submitted.

Residents requiring assistance can contact Anathi Dywili at the Public Participation Unit on 021 400 9825 or anathi.dywili@capetown.gov.za.

Technical queries about the proposed infrastructure can be directed to George Links at RIM.PTI.Communication@capetown.gov.za.

The initiative forms part of the City’s broader commitment to creating universally accessible transport infrastructure that accommodates all road users, including pedestrians, cyclists, and people with disabilities.

You need to be Logged In to leave a comment.

Gift this article